Kolodvorska cesta 3
6230 Postojna
![]() |
Hrošček drobnovratnik (Leptodirus hochenwartii) – vzorec po opravljeni DNK analizi inv. št.: NMPo / Bi: C-2933 dolžina: 7 mm Postojnska jama (kat. št. 747), Male jame, 29. 12. 2003 Ramšak L., Polak S. leg. / Polak S. det. Primerek drobnovratnika iz Postojnske jame je kot dokazni primerek (voucher) shranjen v zbirki hroščev Biološkega oddelka. Po izolaciji celotnega DNK raziskovanega osebka sledi dolgotrajen postopek pomnoževanja več kratkih odsekov z metodo verižne polimerazne reakcije (PCR) in računalniška obdelava podobnosti DNK med vzorci. Foto: S. Polak |
![]() |
Bukov kozliček (Morimus funereus) iz Lipice inv. št.: NMPo / Bi: C-3402 dolžina: 28 mm, višina: 11 mm Lipica, ograda, 3. 7. 2008 Polak S. leg. / Polak S. det. Kozlički (Cerambycidae) so obsežna družina hroščev, katerih ličinke se hranijo v trhlini debel, vej in korenin dreves ali grmov. Med naše največje in najlepše vrste sodi tudi bukov kozliček, čigar ličinke se 3 do 4 leta razvijajo v trhlem lesu starih bukev, hrastov, jelk in tudi drugih drevesnih vrst. Vrsta je na seznamu vrst Natura 2000. Foto: M. Prešeren
|
![]() |
Moškatnik (Calosoma sycophanta), samec inv. št.: NMPo / Bi: C-1718 dolžina hrošča: 29 mm SLO: Pliskovica, Komen, UTM: VL07; 1. 6. 1996 Polak S. leg. / Polak S. det. Moškatnik je živahno bleščeče zeleno obarvan velik hrošč iz družine krešičev (Carabidae). Odrasli osebki so aktivni podnevi, dobro plezajo po grmovju in tudi po drevju, kjer lovijo razne gosenice. Moškatniki so pogosti zlasti tam, kjer se včasih prenamnožijo nočni metulji gobarji, ki so znani gozdni škodljivci. Moškatnik je v Sloveniji omejen na toplejše predele Primorske in Krasa. Na Notranjskem je vrsta zelo redka in je v številnih krajih že izginila. Foto: S. Polak |
![]() |
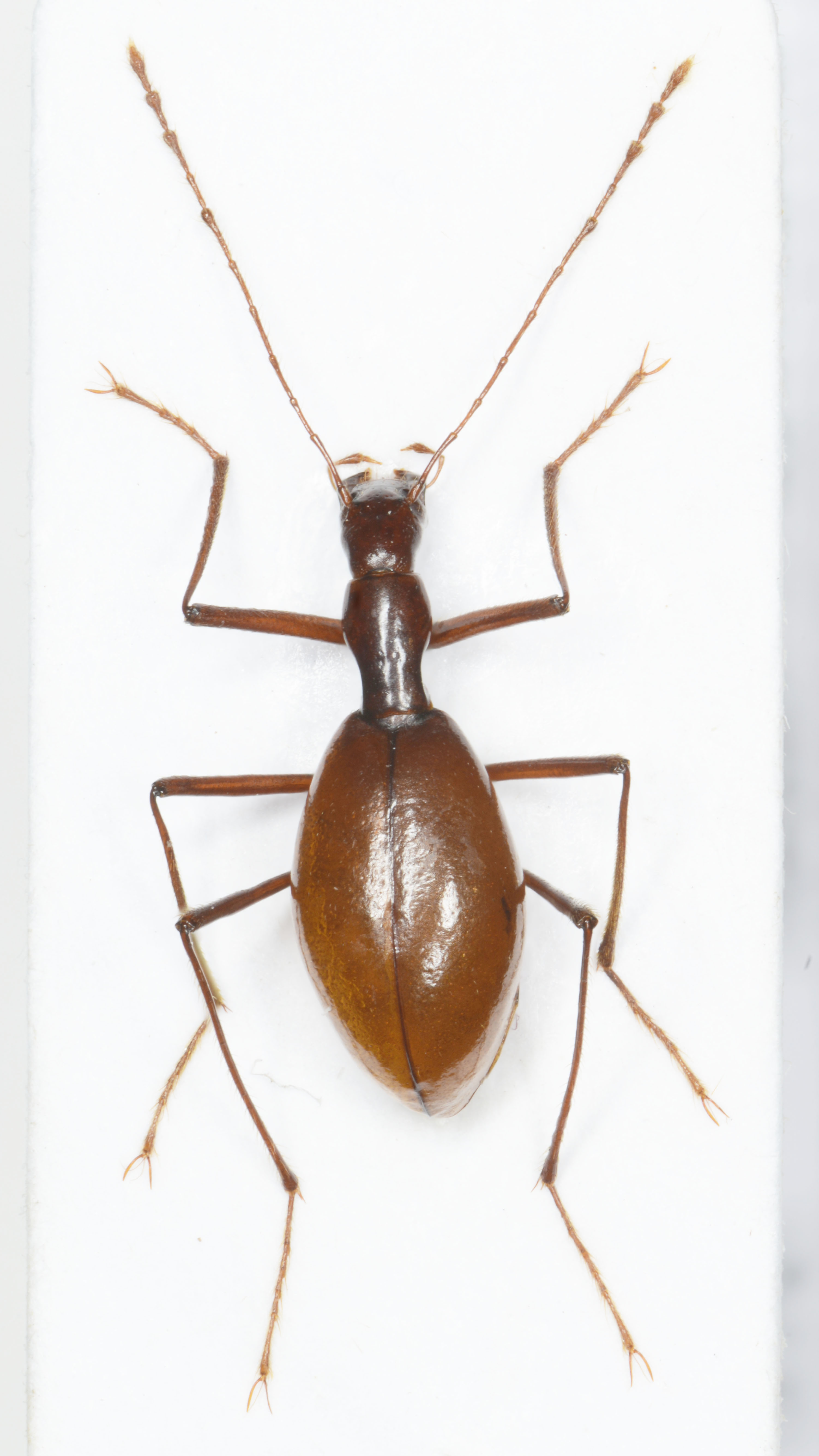
Orjaški krešič (Carabus gigas), samica inv. št.: NMPo / Bi: C-2309 dolžina hrošča: 55 mm SLO: Palško jezero, Palčje, UTM: VL46; 13. 7. 2005 Polak S. leg. / Polak S. det. Orjaški krešič je največji predstavnik krešičev (Carabidae) v Evropi. Krešiči rodu Carabus so pretežno nočno dejavne žuželke, vendar pa orjaškega krešiča občasno srečamo tavati po Notranjskem in Primorskem tudi podnevi. Vrsta pri Postojni dosega severno mejo njene razširjenosti v Evropi. Orjaški krešič sodi med zavarovane vrste hroščev pri nas. Foto: S. Polak |
![]() |
Jamski krešič (Typhlotrechus bilimeki istrus), samica inv. št.: NMPo / Bi: C-1782 dolžina hrošča: 9 mm SLO: Račiška pečina (kat .št. 942), Račice, Starod, UTM: VL34; 11. 5. –26. 5. 1996 Polak S. leg. / Polak S. det. V evropskih jamah so iz družine hroščev krešičev (Carabidae) zastopane številne vrste iz poddružine terhinov (Trechinae). Poleg rodu brezokcev (Anophthalmus), so jamski krešiči (Typhlotrechus) prav pogosti v nekaterih jamah, a le v južnem, dinarskem delu Slovenije. Vrsta T. bilimeki je v Sloveniji zastopana z devetimi, geografsko ločenimi podvrstami. Rod je sicer razširjen vse do severne Bosne.
Literatura: Polak, S., J. Bedek, R. Ozimec in V. Zakšek, 2012. Subterranean fauna of twelve istrian caves. ANNALES. Series Historia Naturalis. 22 (1): 7-24. Drovenik, B., H. Peks, 1994. Catalogus faunae Carabiden der Balkanländer. Coleoptera; Carabidae. Coleoptera Schwanfelder Coloepterologische Mitteilungen, Sonderheft I. Schwanfeld str. 47 Foto: S. Polak |
![]() |
Alpski kozliček (Rosalia alpina), samica inv. št.: NMPo / Bi: C-333 dolžina hrošča (brez tipalk): 26 mm SLO: Javorniki, Cerknica, UTM: VL46; 21. 6. 1994 Mele J. leg. / Polak S. det. Alpski kozliček je nenavadno obarvan predstavnik kozličkov (Cerambycidae), katerih dolžina tipalk, zlasti pri samcih, pogosto presega dolžino telesa. V Sloveniji je razširjen tako v Alpah kot tudi v predalpskem hribovju. Odrasli hrošči letajo med majem in septembrom. Na Notranjskem se, čeprav je tu obilo starega bukovega gozda, pojavlja zelo redko. Ličinke te vrste kozlička se razvijajo dve do tri leta v trhlini mrtvih stoječih, ali podrtih deblih bukve. Vrsta je v Sloveniji zavarovana, uvrščena na Rdeči seznam ogroženih hroščev in v prilogo IV Habitatne direktive.
Literatura: Brelih, S., B. Drovenik in A. Pirnat, 2006. Gradivo za favno hroščev (Coloptera) Slovenije. 2. prispevek. Polyphaga: Chrysomeloidea (= Phytophaga): Cerambycidae. Scopolia 58: 229–231. Vrezec, A., A. Pirnat, A. Kapla, S. Polak, M. Vernik, S. Brelih in B. Drovenik, 2011. Pregled statusa in raziskanosti hroščev (Coleoptera) evropskega varstvenega pomena v Sloveniji s predlogom slovenskega poimenovanja. Acta entomologica slovenica 19(2): 108–110. Foto: S. Polak |
![]() |
Strojar (Prionus coriarius), samica inv. št.: NMPo / Bi: C-2095 dolžina hrošča (brez tipalk): 31 mm SLO: Rakov Škocjan, UTM: VL47; 6. 8. 2009 Polak S. leg. / Polak S. det. Strojar sodi med naše največje kozličke (Cerambycidae). Vrsta je razširjena v gozdni krajini po celi Sloveniji. Ličinka se najmanj tri leta razvija v trhlini raznih dreves, predvsem v bukovih in hrastovih deblih in štorih. Odrasli osebki so aktivni v mraku in ponoči. Na Notranjskem je vrsta splošno razširjena, a ni pogosta.
Literatura: Brelih, S., B. Drovenik in A. Pirnat, 2006. Gradivo za favno hroščev (Coloptera) Slovenije. 2. prispevek. Polyphaga: Chrysomeloidea (= Phytophaga): Cerambycidae. Scopolia 58: 108–110. Foto: S. Polak |
![]() |
Rogač (Lucanus cervus), samec inv. št.: NMPo / Bi: C-2236 dolžina hrošča: 52 mm SLO: Boršt, Koritnice, UTM: VL45; 12. 7. 2005 Polak S. leg. / Polak S. det. Rogač iz družine hroščev rogačev (Lucanidae) je nedvomno naš največji hrošč. Samice so manjše in nimajo čeljusti spremenjenih v jelenovim rogovom podobne klešče. Vrsta je v Sloveniji splošno razširjena povsod, kjer so sklenjeni zreli hrastovi gozdovi. Odrasle hrošče srečujemo poleti v večernem mraku, ko okorno letajo med drevesi, ali pa ližejo sokove ranjenih dreves.
Literatura: Brelih, S., A. Kajzer in A. Pirnat, 2010. Gradivo za favno hroščev (Coloptera) Slovenije. 4. prispevek. Polyphaga: Scarabaeoidea (= Lamellicornia). Scopolia 70: 121–126. Vrezec, A., A. Pirnat, A. Kapla, S. Polak, M. Vernik, S. Brelih in B. Drovenik, 2011. Pregled statusa in raziskanosti hroščev (Coleoptera) evropskega varstvenega pomena v Sloveniji s predlogom slovenskega poimenovanja. Acta entomologica slovenica 19(2): 102–105. Foto: S. Polak |
![]() |
Blesteča minica (Protaecia aeruginosa), samec inv. št.: NMPo / Bi: C-2239 dolžina hrošča: 28 mm SLO: Boršt, Koritnice, UTM: VL45; 17. 7. 2005 Polak S. leg. / Polak S. det. Blesteča minica sodi v družino skarabejev (Scarabaeidae) in je precej večja od povsod pogoste navadne minice (Cetonia aurata). Blesteča minica je pogostejša na Slovenski obali in na Primorskem, kjer jo včasih najdemo na gnilem sadju. V kontinentalnem delu Slovenije je vrsta omejena na stare hrastove, redkeje bukove sestoje, kjer v drevesnih krošnjah sesa sok ranjenih dreves. Ličinke se več let razvijajo v trhlihi starih dreves.
Literatura: Brelih, S., A. Kajzer in A. Pirnat, 2010. Gradivo za favno hroščev (Coloptera) Slovenije. 4. prispevek. Polyphaga: Scarabaeoidea (= Lamellicornia). Scopolia 70: 318–319. Foto: S. Polak |
![]() |
Mlinar (Polyphylla fullo), samec inv. št.: NMPo / Bi: C-3245 dolžina hrošča: 37 mm SLO: Begunje, Cerknica, UTM: VL57; 2. 7. 2009 Polak S. leg. / Polak S. det. Tako kot sorodni in vsem dobro poznani majski hrošč (Melolontha melolontha), tudi mlinar sodi v družino skarabejev (Scarabaeidae). Najdemo ga predvsem na toplih peščenih ali prodnatih tleh ob rekah in v hribih. Odrasli hrošči se od sredine junija do začetka septembra najraje zadržujejo na boru, a tudi na nekaterih listavcih. Številčnost te vrste je v zadnjih 50. letih zelo upadla. Primerek v zbirki Notranjskega muzeja Postojna, je doslej edini znan podatek o prisotnosti te vrste za Notranjsko regijo.
Literatura: Brelih, S., A. Kajzer in A. Pirnat, 2010. Gradivo za favno hroščev (Coloptera) Slovenije. 4. prispevek. Polyphaga: Scarabaeoidea (= Lamellicornia). Scopolia 70: 261–262. Foto: S. Polak |
![]() |
Jamski hrošč drobnovratnik (Leptodirus hochenwartii hochenwartii) Schmidt, 1832 inv. št.: NMPo / Bi:C-6886 dolžina telesa: 7,0 mm SLO: Suho prepariran osebek (♀) iz Predjamskega jamskega sistema (kat. št.: 734), Predjama, Postojna; 7. 7. 1992. Polak S. leg. / Polak S. det. Jamski hrošček drobnovratnik velja za prvo opisano živalsko vrsto, ki je bila že ob opisu prepoznana kot jamska žival. Po primerku, ki ga je leta 1831 v Postojnski jami našel svetilničar Luka Čeč, je vrsto pod imenom Leptodirus hochenwartii v ljubljanskem časopisu Illyrisches Blatt leta 1832 opisal ljubljanski naravoslovec Ferdinand Schmidt. Tipske primerke v Scmidtovi zbirki hrani Prirodoslovni muzej Slovenije. Primerki iz Predjamskega jamskega sistema sodijo v isto nominantno podvrsto tega znamenitega jamskega hrošča.
Literatura: Schmidt F. 1832: Beitrag zu Krain’s Fauna. Leptodirus Hochenwartii, n. g., n. sp. Illyrisches Blatt, 3: 9–10. Polak S. 2005: Importance of discovery of the first cave beetle Leptodirus hochenwartii Schmidt, 1832. Endins, 28: 71–80. Foto: S. Polak |
![]() |
Jamski hrošč drobnovratnik (Leptodirus hochenwartii reticulatus) Müller, 1904 inv. št.: NMPo / Bi:C-6887 dolžina telesa: 6,5 mm ITA: Suho prepariran osebek (♂) iz Jame v Rubijah (Grotta Noè) (V.G. 90), Nabrežina, Trst; 7. 7. 1992. Polak S. leg. / Polak S. det. Jamski hrošček drobnovratnik je endemit severozahodnega dela Dinarskega krasa v Sloveniji, Italiji in na Hrvaškem. Tu je razširjen v 5 podvrstah. Po primerkih iz Jame v Rubijah na Tržaškem krasu je Müller leta 1904 opisal podvrsto L. H. reticulatus, ki živi tudi v drugih jamah na Tržaško-Komenskem krasu, Matarskem podolju in v Čičariji.
Literatura: Pretner E. 1955: Rodovi Oryotus L. Miller, Pretneria G. Müller, Astagobius Reitter in Leptodirus Schmidt (Coleoptera). Acta carsologica, 1: 41–71. Pretner E. 1970: Leptodirus hochenwarti velebiticus ssp. n. in Astagobius hadzii sp. n. z Velebita, Astagobius angustatus deelemani ssp. n. in Astagobius angustatus drioli ssp. n. iz Like (Coleoptera). Acta carsologica, 5, 9: 323–340. Foto: S. Polak |
![]() |
Jamski hrošč ledeničar (Astagobius angustatus laticollis) Pretner, 1955 inv. št.: NMPo / Bi:C-6890 dolžina telesa: 6,0 mm SLO: Suho prepariran osebek (♀) iz Ledenice pri Dolu (kat. št.: 751), Predmeja, Trnovski gozd; 29. 9. 2004. Polak S. leg. / Polak S. det. Jamski hrošči ledeničarji rodu Astagobius živijo v jamah ledenicah s temperaturami le malo nad ničlo, kjer se led ohranja tudi v poletnem času. Tipska podvrsta je bila opisana po primerkih iz Volčje jame na Nanosu. V ledenicah na Trnovskem gozdu živi ločena podvrsta. Rod je z več podvrstami in eno vrsto sicer razširjen tudi na Kočevskem in sega prek Gorskega Kotarja do južnega Velebita na Hrvaškem.
Literatura: Pretner E. 1955: Rodovi Oryotus L. Miller, Pretneria G. Müller, Astagobius Reitter in Leptodirus Schmidt (Coleoptera). Acta carsologica, 1: 41–71. Pretner E. 1970: Leptodirus hochenwarti velebiticus ssp. n. in Astagobius hadzii sp. n. z Velebita, Astagobius angustatus deelemani ssp. n. in Astagobius angustatus drioli ssp. n. iz Like (Coleoptera). Acta carsologica, 5, 9: 323–340. Foto: S. Polak |
![]() |
Jamski hrošč sigar (Parapropus sericeus sericeus) Schmidt, 1852 inv. št.: NMPo / Bi:C-6902 dolžina telesa: 5,5 mm SLO: Suho prepariran osebek (♀) iz Ledene jame na Kunču (kat. št.: 669), Kočevski rog, Kočevje; 20. 9. 2015. Polak S. leg. / Polak S. det. Jamski hrošči sigarji rodu Parapropus sodijo med pogostejše vrste jamskih hroščev razširjenih od južne Slovenije, prek Hrvaške, severozahodnega dela Bosne do dalmatinskega zaledja. Rod vsebuje številne vrste in podvrste. Prvo vrsto P. sericeus, ki je razširjena po dolenjskih jamah, je po primerkih iz Slugove jame opisal že Schmidt davnega leta 1852 in jo sprva uvrstil v rod Leptodirus. Rodovno ime Parapropus je šele kasneje uveljavil avstrijski entomolog Ludwig Ganglbauer.
Literatura: Jeannel R. 1924: Monographie des Bathysciinae. Archives de Zoologie expérimentale et générale, 63, 1: 1–434. Foto: S. Polak |
![]() |
Jamski hrošč vrste (Speoplanes biocovensis) Müller, 1934 inv. št.: NMPo / Bi:C-6933 dolžina telesa: 8,5 mm CRO: Suho prepariran osebek (♀) iz jame Mokre noge, Ladena, Biokovo, Makarska; 4. 6. 2017. Delić T. leg. / Polak S. det. Jamski hrošči rodu Speoplanes so največji in najzajetnejši jamski hrošči iz skupine podzemljarjev (Leptodirini). Dolžina telesa nekaterih primerkov dosega do 9 milimetrov. Rod je endemit dalmatinske gore Biokovo, kjer živi vrsta S. biocovensis in gore Mosor, kjer je znana vrsta S. giganteus. Ti hrošči živijo v globokih in hladnih breznih.
Literatura: Mizerakis V., Hlavač P., Čeplik D., Jalžić B. & Faille A. 2022: New insights into the subterranean genus Speoplanes Müller, 1911 (Coleoptera, Leiodidae, Cholevinae) from the Dinarides. Zootaxa 5214 (4): 581–594. Foto: S. Polak |
![]() |
Jamski hrošč (Spelaites grabowskii) Apfelbeck, 1907 inv. št.: NMPo / Bi:C-6935 dolžina telesa: 5,0 mm CRO: Suho prepariran osebek (♂) iz jame Balića špilja, Dugopolje, Split; 1. 10. 2005. Jalžić B. leg. / Polak S. det. Jamski hrošči monotipske vrste Spelaites grabowskii živijo le v jamah vznožja gore Mosor v bližini Splita. Vrsta je ozko sorodna podobnim vrstam iz rodu Parapropus, le da ima ovratnik znatno širši.
Literatura: Jeannel R. 1924: Monographie des Bathysciinae. Archives de Zoologie expérimentale et générale, 63, 1: 1–434. Foto: S. Polak |
![]() |
Jamski hrošč (Protobracharthron dusinae) Ćurčić, Rađa & Mulaomerović, 1914 inv. št.: NMPo / Bi:C-6936 dolžina telesa: 4,9 mm BIH: Suho prepariran osebek (♀) iz Dusine pećine, Dusina, Fojnica; 25. 6. 2015. Polak S. leg. / Polak S. det. Jamski hrošči rodu Protobracharthron so bili dolgo časa za entomologe nerešena uganka, saj po odkritju in opisu prva vrsta P. reitteri (Apfelbeck, 1889) ni bila nikoli več najdena. Druga vrsta tega rodu P. dusine je bila najdena v jami Dusina pećina na izoliranem kraškem območju bosanskega rudogorja severno od Sarajeva in opisana šele nedavno.
Literatura: Ćurčić S., Rađa T., Mulaomerović J., Vrbica M., Antić D., Tomić V., Ćurčić B., Rađa B. 2014: Three new cave-dwelling leiodid beetles (Coleoptera: Leioidiae: Cholevinae: Leptodirini) from Bosnia and Herzegovina. Archives of Biological Science Belgrade, 66, 2: 919–933. Foto: S. Polak |
![]() |
Jamski hrošč snežničar (Spelaeodromus sneznikensis) Polak, 2002 inv. št.: NMPo / Bi:C-6939 dolžina telesa: 8,5 mm SLO: Suho prepariran osebek (♂) iz jame Snežnica vrh Snežnika (kat. št.: 807), Sviščaki, Snežnik; 26. 9. 2004. Polak S. leg. / Polak S. det. Za jamske hrošče rodu Spelaeodromus je dolgo veljalo, da živijo le v hladnih jamah Velebita na Hrvaškem. Veliko presenečenje je bila najdba primerkov tega rodu tudi na Snežniku v Sloveniji. Na osnovi primerkov iz več hladnih jam snežnic v okolici ovršja Snežnika, kjer se sneg ohranja vse do poletja, smo leta 2002 opisali novo vrsto in jo po Snežniku poimenovali S. sneznikensis. Kasneje je bila vrsta najdena tudi v jamah na hrvaški strani meje na Snježniku.
Literatura: Polak S. 2002: Spelaeodromus sneznikensis sp. nov. from Slovenia (Coleoptera: Cholevidae: Leptodirinae). Acta entomologica Slovenica, 10, 1: 5–12. Foto: S. Polak |
![]() |
Jamski hrošč vrste (Apholeuonus nudus nudus) Apfelbeck, 1889 inv. št.: NMPo / Bi:C-6952 dolžina telesa: 7,0 mm BIH: Suho prepariran osebek (♂) iz Ledenice pri Krbljini, Krbljina, Treskavica planina; 24. 7. 2004. Polak S. leg. / Polak S. det. Jamski hrošči rodu Apholeuonus so veliki in zajetni jamski hrošči, znani iz jam osrednjega in južnega dela Bosne in Hercegovine. V reviziji vrste tega rodu iz leta 1995 so entomologi prepoznali 5 vrst in dodatnih 8 podvrst. Vrsta A. nudus živi po jamah bosanske gore Treskavica.
Literatura: Giachino P.M., Guéorguiev V.B. 1995: Il genere Apholeuonus Reitter, 1889 (Coleoptera, Cholevidae, Leptodirinae). Rivista Piemontese di Storia Naturali, 16: 169–216. Foto: S. Polak |
![]() |
Jamski hrošč vrste (Apholeuonus longicollis sequensi) Reitter, 1906 inv. št.: NMPo / Bi:C-6956 dolžina telesa: 6,5 mm BIH: Suho prepariran osebek (♂) iz jame Topogrlo, Luka, Glavatičevo, Visočica planina; 15. 8. 2010. Bedek, J. & Lukić M. leg. / Polak S. det. Jamski hrošči vrste in podvrste Apholeuonus longicollis sequensi so opisani iz jam na bosansko-hercegovski planini Visočica.
Literatura: Giachino P.M., Guéorguiev V.B. 1995: Il genere Apholeuonus Reitter, 1889 (Coleoptera, Cholevidae, Leptodirinae). Rivista Piemontese di Storia Naturali, 16: 169–216. Foto: S. Polak |
![]() |
Jamski hrošč vrste (Antrosedes spleuncarius) Reitter, 1912 inv. št.: NMPo / Bi:C-6957 dolžina telesa: 4,0 mm BIH: Suho prepariran osebek (♂) iz jame Topogrlo, Luka, Glavatičevo, Visočica planina; 15. 8. 2010. Lukić M. leg. / Polak S. det. V jamah bosansko-hercegovske planine Visočica živijo poleg vrste A. longicollis tudi precej manjši in gracilnejši jamski hrošči vrste Antrosedes spleuncarius. Drugo sorodno vrsto Antrosedes longicollis je leta 1970 iz jame na Kuščićki planini pri Visokem opisal slovenski entomolog Egon Pretner.
Literatura: Pretner E. 1970: Antrosedes longicollis sp. n. iz Bosne, razprostranjenost vrste Blattodromus herculeanus Reitter in rod Pheggomisetes v Srbiji (Coleoptera: Bathysciinae in Trechinae). Razprave SAZU 13, 4: 155–164. Foto: S. Polak |
![]() |
Jamski hrošč vrste (Haplotropidius taxi subinflatus) Apfelbeck, 1907 inv. št.: NMPo / Bi:C-6960 dolžina telesa: 6,0 mm CRO: Suho prepariran osebek (♀) iz jame Balića špilja, Dugopolje, Split; 1. 10. 2005. Jalžić B. leg. / Polak S. det. Jamski hrošči rodu Haplotropidius so podobni vrstam iz rodu Apholeuonus, le da imajo pokrovke kratko in gosto dlakave. Iz Hercegovine in dalmatinskega zaledja je opisanih več vrst in podvrst tega rodu. Vrsta H. taxi subinflatus živi skupno z vrsto Spelaites grabowskii v jamah Dugopolja pri Splitu.
Literatura: Jeannel R. 1924: Monographie des Bathysciinae. Archives de Zoologie expérimentale et générale, 63, 1: 1–434. Foto: S. Polak |
![]() |
Jamski hrošč vrste (Radziella styx) Casale & Jalžić, 1988 inv. št.: NMPo / Bi:C-6961 dolžina telesa: 4,5 mm CRO: Suho prepariran osebek (♂) iz Pretnerove jame, Sv. Jure, Bikovo planina, Makarska; 28. 10. 2006. Jalžić B. leg. / Polak S. det. Večina jamskih hroščev se v jamah hrani z bornim organskim drobirjem. Enigmatična vrsta Hadesia vasiceki znana iz jame Vjetrenica na Popovem polju v Hercegovini je dolgo veljala za edinega specialista, ki se hrani s precejanjem vode, ki teče po jamskih stenah. Leta 1988 opisana Radziella styx najdena v globokih jamah gore Biokovo nad Makarsko, tudi preceja jamsko vodo in velja za drugi najden primer takega prehranjevanja pri jamskih hroščih. Take prehranske specialiste imenujemo hogropetrične vrste.
Literatura: Casale A., Jalžić B. 1988: Radziella (new genus) styx n. sp. a new exceptional troglobitic Bathysciinae (Coleoptera, Catopidae) from the Dinaric Region, Jugoslavia. Bollettino del Museo regionale di Scienze naturali di Torino, 6, 2: 349–358. Foto: S. Polak |
![]() |
Jamski hrošč vrste (Croatodirus bozicevici) Casale, Giachino & Jalžić, 2000 inv. št.: NMPo / Bi:C-6962 dolžina telesa: 3,5 mm CRO: Suho prepariran osebek (♂) iz podzemlja Tunela Učke, Učka, Istra; 4. 10. 2006. Bilandžija H., Jalžić B. leg. / Polak S. det. Kmalu po odkritju higropetrične vrste Radziella styx so se med jamskimi hrošči podzemljarji vrstile nove najdbe tovrstnih prehranskih specialistov. Pri izgradnji tunela skozi Učko v Istri, je bila najdena in opisana nova higropetrična vrsta Croatodirus bozicevici. Kasneje so nove vrste tega rodu našli še na Velebitu, v jamah Gorskega kotarja in tudi na Snežniku v Sloveniji.
Literatura: Casale A., Giachino P.M., Jalžić B. 2000: Croatodirus (nov. gen.) bozicevici n. sp., an enigmatic new Leptodirine beetle from Croatia (Coleoptera, Cholevidae). Natura Croatica, 9, 2: 83–92. Foto: S. Polak |
![]() |
Jamski hrošč brelihov širokovratnik (Prospelaeobates brelihi) Polak & Bognolo, 2003 inv. št.: NMPo / Bi:C-7026 dolžina telesa: 2,5 mm SLO: Suho prepariran osebek (♂) iz Jame jugozahodno od Mašuna (kat. št.: 10032), Mašun, Snežnik; 1. 10. 2002. Polak S. leg. / Polak S. det. Glede na dolgo tradicijo proučevanja jamskih hroščev velja Slovenija v tem smislu za dobro raziskano deželo. Še vedno pa je tudi pri nas moč najti nove, še ne opisane vrste. Pri raziskavah jam Snežnika je bila tako najdena in opisana nova drobna vrsta Prospelaeobates brelihi. Hroščku je bilo pripisano vrstno ime po marljivem slovenskem entomologu Savu Brelihu.
Literatura: Polak S., Bognolo M. 2003: Prospelaeobates brelihi sp. nov., a new Leptodirine beetle from Slovenia (Coleoptera: Cholevidae). Acta entomologica Slovenica, 11, 1: 17–30. Polak S. 2020: Razširjenost jamskih hroščev podzemljarjev rodu Prospelaeobates (Coleoptera; Leiodidae; Leptodirini) in njihovo življenjsko okolje. Acta entomologica Slovenica, 28, 2: 85–96. Foto: S. Polak |
![]() |
Jamski hrošč (Adelopidius neumanni) Müller, 1911 inv. št.: NMPo / Bi:C-7031 dolžina telesa: 3,0 mm BIH: Suho prepariran osebek (♂) iz jame Pećina u Mačkića stijeni, Sitnica, Mrkonjič grad; 20. 7. 2007. Polak S. leg. / Polak S. det. Po številu znanih vrst jamskih hroščev v svetu prednjači Dinarski kras, po deželah pa zlasti teritorij Bosne in Hercegovine. V jamah severne in zahodne Bosne je znanih 10 vrst jamskih hroščev rodu Adelopidius. Vrsta A. neumanni je zaenkrat znana le iz jame Pećina u Mačkića stijeni med Ključem in Mrkonjić Gradom v zahodni Bosni. Vrsta v tej obsežni jami nastopa množično.
Literatura: Ćurčić S., Pavićević D., Veselović N., Mulaomerović, J., Rađa T., Antić D., Bosco F., Marković Đ., Petković M. 2018: Seven new taxa of Leptodirini (Coleoptera: Leiodidae: Cholevinae) from the Balkan Peninsula. Zootaxa, 4483, 3: 532–548. Foto: S. Polak |
![]() |
Jamski hrošč robičev posavček (Ceuthmonocharis robici) Ganglbauer, 1899 inv. št.: NMPo / Bi:C-7067 dolžina telesa: 2,5 mm SLO: Suho prepariran osebek (♂) iz Železne jame (kat. št.: 2678), Domžale; 16. 8. 2002. Stambol J. leg. / Polak S. det. Po slovenskem naravoslovcu Simonu Robiču poimenovan robičev posavček sodi med najzgodnejše opisane jamske hrošče. Avtor opisa avstrijski entomolog Ganglbauer ga je sprva uvrstil v rod Bathyscia in kasneje rod Hohenwartia. Jamski hrošči posavčki so edini jamski hrošči dinarskega izvora, ki jih najdemo v Posavju, na obeh straneh reke Save od Domžal do Krškega. Opisanih je več vrst. Zahodno skupino z vrstami C. robici, C. freyeri in C. pusilus najdemo v jamah kraškega gričevja okolice Domžal in Moravč.
Literatura: Pretner E. 1959: Rod Ceuthnonocharis Jeannel (Coleoptera, Catopidae). Acta carsologica, 2: 263–284. Foto: S. Polak |
![]() |
Jamski hrošč netolickijev posavček (Ceuthmonocharis netolitzkyi) Müller, 1908 inv. št.: NMPo / Bi:C-7070 dolžina telesa: 2,5 mm SLO: Suho prepariran osebek iz jame Ajdovska peč pri Studencu (kat. št.: 390), Studenec, Sevnica; 30. 6. 2000. Kapla A. leg. / Polak S. det. Netolickijev (C. n. netolitzkyi) in posebna podvrsta kodričev posavček (C. n. kodrici) sodita v drugo vzhodno skupino vrst posavčkov, živečih v jamah med Mirensko dolino in Krškim poljem ter med Savinjo in Sotlo. V tistem zgodnjem času odkrivanja jamskih hroščev so entomologi pogosto poimenovali nove opisane vrste in podvrste po zbiralcih oziroma najditeljih prvih primerkov.
Literatura: Pretner E. 1959: Rod Ceuthnonocharis Jeannel (Coleoptera, Catopidae). Acta carsologica, 2: 263–284. Foto: S. Polak |
![]() |
Jamski hrošč notranjski kevenhulerjev podzemljar (Bathysciotes khevenhuelleri khevenhuelleri) Miller, 1852 inv. št.: NMPo / Bi:C-7059 dolžina telesa: 2,5 mm SLO: Suho prepariran osebek iz Jame jugozahodno od Mašuna (kat. št.:10032), Mašun, Snežnik; 11. 10. 2002. Polak S. leg. / Polak S. det. Jamski hrošč podzemljar vrste Bathysciotes khevenhuelleri je bil pod imenom Adelops khevenhuelleri opisan po primerkih iz Postojnske jame že leta 1852, kmalu po opisu drobnovratnika. Vrsta ima danes opisanih pet podvrst, ki živijo v južnem delu Slovenije in severozahodnem delu Hrvaške. Primerki s Snežnika najverjetneje pripadajo isti podvrsti (B. k. khevenhuelleri) kot živi v Postojnski jami. Zanimivo je, da vrsto na Snežniškem pogorju nad 1000 metri ne najdemo več v jamah, pač pa v plitvem podzemeljskem okolju okolice jam.
Literatura: Jeannel R. 1924: Monographie des Bathysciinae. Archives de Zoologie expérimentale et générale, 63, 1: 1–434. Foto: S. Polak |
![]() |
Jamski hrošč primorski kevenhulerjev podzemljar (Bathysciotes khevenhuelleri tergestinus) Müller, 1922 inv. št.: NMPo / Bi:C-7061 dolžina telesa: 2,5 mm SLO: Suho prepariran osebek iz jame Bestažovca (kat. št.: 3630), Merče, Sežana; 30. 8. 2002. Polak S. leg. / Polak S. det. Hrošči kevenhulerjevi podzemljarji iz jam na Tržaškem krasu, Matarskem podolju in Čičariji so nekoliko drugačni od tistih, ki živijo na Notranjskem. Tržaški entomolog Josef (Giuseppe) Müller je na osnovi primerkov iz Medvedove jame pri Gabrovici opisal samostojno podvrsto B. k. tergestinus. V nekaterih jamah, na primer v jami Bestažovca pri Sežani, ta vrsta nastopa množično.
Literatura: Jeannel R. 1924: Monographie des Bathysciinae. Archives de Zoologie expérimentale et générale, 63, 1: 1–434. Foto: S. Polak |
![]() |
Jamski hrošč (Roubaliella biokovensis) Jeannel, 1925 inv. št.: NMPo / Bi:C-7074 dolžina telesa: 3,0 mm CRO: Suho prepariran osebek (♀) iz plitvega podzemeljskega okolja na gori Sveti Jure, Biokovo, Makarska; 15. 10. 2010. Polak S. leg. / Polak S. det. Vrsta jamskega hrošča Roubaliella biokovensis je bila leta 1925 opisana na osnovi primerkov samic, zato njena sistematska uvrstitev dolgo ni bila pojasnjena. Za pravilno uvrstitev v sistem je namreč nujen pregled nekaterih značilnosti primerkov samcev. Pravilna uvrstitev v skupino sorodnih vrst je bila opravljena šele leta 1993, ko so italijanski entomologi na gori Biokovo našli tudi primerke samcev.
Literatura: Casale A., Giachino P.M., Monguzzi R. 1993: On the systematic position of Roubaliella Jeannel, 1925 (Coleoptera: Cholevidae: Leptodirnae). Elytron, 7: 171–177. Foto: S. Polak |
![]() |
Jamski hrošč križnojamska drovenikija (Bathyscimorphus (Drovenikia) trifurcatus) Jeannel, 1924 inv. št.: NMPo / Bi:C-7085 dolžina telesa: 1,9 mm SLO: Suho prepariran osebek (♂) iz Križne jame (kat. št.: 65), Križna gora, Bloška polica; 5. 2. 2021. Polak S. leg. / Polak S. det. V večini naših jam dinarskega območja najdemo drobne hroščke podzemljarčke rodu Bathyscimorphus. Opisanih je bilo več vrst. S podrobno revizijo, ki jo je opravil tržaški entomolog Bognolo pa je bil znotraj rodu prepoznan še podrod imenovan Drovenikia. Podrod je bil poimenovan v čast slovenskemu entomologu Božidarju Droveniku. Znotraj podrodu je bilo prepoznanih veliko vrst z relativno majhnimi izoliranimi areali. V Križni jami in še v nekaj jamah v okolici živi drobna križnojamska drovenikija. Primerki te vrste se pogosto zberejo ob iztrebkih netopirjev.
Literatura: Bognolo M. 2002: Il Genere Bathyscimorphus (Coleoptera: Cholevidae). Coleoptera, 6: 1–33. Foto: S. Polak |
![]() |
Jamski hrošč krogličarka (Sphaerobathyscia hoffmannii) Motschoulsky, 1856 inv. št.: NMPo / Bi:C-6981 dolžina telesa: 1,2 mm SLO: Suho prepariran osebek iz jame Ajdovska peč pri Studencu (kat. št.: 390), Studenec, Sevnica; 13. 8. 2004. Kapla A. leg. / Polak S. det. Čeprav krogličarka sodi v skupino jamskih hroščev podzemljarjev pa bomo te izredno drobne kroglaste hroščke zaman iskali v globljih delih jam. Živijo namreč v gozdni stelji in rahli prsti med kamenjem. Tako okolje najdemo tudi na vhodih v kraške jame, zato se večina nahajališč te vrste nanaša na jame. Vrsta je razširjena disjunktno v Zasavju, v Alpah, Trnovskem gozdu in Nanosu in tudi na Tržaškem krasu.
Literatura: Jeannel R. 1924: Monographie des Bathysciinae. Archives de Zoologie expérimentale et générale, 63, 1: 1–434. Foto: S. Polak |
![]() |
Jamski hrošč šmidtov ploskonožec (Oryotus schmidti) Miller, 1856 inv. št.: NMPo / Bi:C-6979 dolžina telesa: 3,4 mm SLO: Suho prepariran osebek (♂) iz Volčje jame na Nanosu (kat. št.: 743), Nanos, Postojna; 18. 4. 2004. Polak S. leg. / Polak S. det. Prvi naravoslovci, ki so po Kranjskem iskali jamske hrošče, so že zgodaj obiskovali Volčjo jamo na Nanosu. Po primerkih iz te jame je bilo opisanih več vrst, med njimi je tudi šmidtov ploskonožec. Samci tega rodu imajo nenavadno razširjene in ploske členke stopal prvih nog, kar ima najverjetneje vlogo pri parjenju. Tako imenovane tipske lokalitete, od koder izvirajo primerki živali na osnovi katerih so poimenovani taksoni, imajo veliko znanstveno pomembnost.
Literatura: Pretner E. 1955: Rodovi Oryotus L. Miller, Pretneria G. Müller, Astagobius Reitter in Leptodirus Schmidt (Coleoptera). Acta carsologica, 1: 41–71. Foto: S. Polak |
![]() |
Jamski hrošč raduški ploskonožec (Oryotus raduhensis) Drovenik, Mlejnek & Moravec, 1995 inv. št.: NMPo / Bi:C-7017 dolžina telesa: 3,7 mm SLO: Suho prepariran osebek (♂) iz Snežne jame na planini Arto (kat. št.: 1254), Raduha, Luče; 4. 10. 2021. Polak S. leg. / Polak S. det. Rod ploskonožcev živi v jamah alpskega dela Slovenije ter v obmejnih območjih Italije in Hrvaške. Znanih je sedem vrst. Zadnja najdena in opisana vrsta je bila raduški ploskonožec, ki je tudi največja. Znana je le iz jam območja planine Raduha v Savinjskih Alpah.
Literatura: Drovenik, Mlejnek & Moravec 1995: Zwei neue Höhlenkäfer aus Slowenien (Coleoptera: Leiodidae: Leptodirini). Coleoptera, Schwandfelder Coleopterologische Mitteilungen, 11: 1–10. Foto: S. Polak |
![]() |
Jamski hrošč millerjev jajčar (Aphaobius milleri) Schmidt, 1855 inv. št.: NMPo / Bi:C-6994 dolžina telesa: 3,0 mm SLO: Suho prepariran osebek iz Volčje jame na Nanosu (kat. št.: 743), Nanos, Postojna; 18. 4. 2004. Polak S. leg. / Polak S. det. Podobno kot ploskonožce tudi rod jamskih hroščev jajčarjev (Aphaobius) uvrščamo v izvorno alpske živali. Rod je razširjen zlasti na območju alpskega dela Slovenije, sega tudi na obmejna območja Avstrije, Italije in Hrvaške. Millerjevega jajčarja (Aphaobius milleri) je kot prvo vrsto tega rodu po primerkih iz jame Velika Pasica na Krimu pri Igu, opisal ljubljanski naravoslovec Ferdinand Schmidt že leta 1855. Čeprav je rod izvorno alpski pa ta vrsta sega globoko v dinarski del Slovenije vse do Hrvaške.
Literatura: Bognolo M., Vailati D. 2010: Revision of the genus Aphaobius Abeille de Perrin, 1878 (Coleoptera, Cholevidae, Leptidirinae). Scopolia, 68: 1–75. Foto: S. Polak |
![]() |
Jamski hrošč hajdenov jajčar (Aphaobius heydeni) Reitter, 1885 inv. št.: NMPo / Bi:C-6997 dolžina telesa: 3,2 mm SLO: Suho prepariran osebek iz jame Migutovo brezno (kat. št.: 5), Škofja Loka; 23. 7. 2011. Perne M. leg. / Polak S. det. Trenutno je v rodu jamskih hroščev jajčarjev (Aphaobius) prepoznanih 22 vrst, še ena pa je bila nedavno opisana po primerkih iz avstrijskega dela Karavank. Središče evolucije tega rodu je moralo potekati nekje v okolici Škofje Loke in Kranja, saj je tam prepoznanih veliko endemičnih vrst z zelo ozkimi areali. Hajdenov jajčar (Aphaobius heydeni) je tako znan le iz več jam v okolici Škofje Loke.
Literatura: Pretner E. 1958: Appunti sugli Aphaobius Abeille (Coleoptera, Bathysciinae) della regione di Scofia Loka (Carniola superior). V: Deuxieme Congres International de Speleologie, Bari, Lecce, Salerno, October 5-12. 1918. Anelli F. (ed.). Bari, Instituto italiano di speleologia, Extrait des actes du Congres: 59–66. Bognolo M., Vailati D. 2010: Revision of the genus Aphaobius Abeille de Perrin, 1878 (Coleoptera, Cholevidae, Leptidirinae). Scopolia, 68: 1–75. Foto: S. Polak |
![]() |
Jamski hrošč ploskonoga pretnerija (Pretneria latitarsis) Müller, 1904 inv. št.: NMPo / Bi:C-6975 dolžina telesa: 2,5 mm SLO: Suho prepariran osebek (♂) iz Golobeje jame pri Predgrižah (kat. št.: 488), Črni vrh nad Idrijo, Godovič; 10. 4. 2007. Polak S. leg. / Polak S. det. V nekaterih jamah živi skupaj s pripadniki jamskih hroščev jajčarjev rodu Aphaobius še eni, nekoliko manjši podzemljarji, ki so bile sprva opisana le kot podrod jajčarjev. Kasneje so bili ti taksoni uvrščeni v samostojni rod Pretneria, poimenovani po našem znamenitem raziskovalcu jamskih hroščev Egonu Pretnerju. Po trenutnem poznavanju, v Sloveniji in na obmejnem alpskem območju v Italiji živi sedem vrst tega rodu.
Literatura: Bognolo M. 2000: Il genere Pretneria (Coleoptera Cholevidae). Bollettino della Società Entomologica Italiana, 132, 1: 29–42. Foto: S. Polak |
![]() |
Jamski hrošč tisniška jajčarica (Aphaobiella tisnicensis) Pretner, 1949 inv. št.: NMPo / Bi:C-7009 dolžina telesa: 2,0 mm SLO: Suho prepariran osebek iz jame Špehovka (kat. št.: 509), Tisnik, Huda Luknja, Velenje; 6. 1. 2007. Novak T. leg. / Polak S. det. V območju izoliranih apnenčastih gora zahodno od Kamniško Savinjskih Alp, živi rod jamskih hroščev jajčaric (Aphaobiella) s štirimi opisanimi vrstami. Vrsta tisniška jajčarica živi v jamah gore Tisnik pri Velenju. Podobno kot rod Pretneria je bil tudi rod Aphaobiella originalno opisan kot podrod rodu Aphaobius in ga je šele kasneje Pretner povzdignil na rang samostojnega rodu.
Literatura: Pretner E. 1949: Aphaobius (Aphaobiella subgenus nov.) budnar-lipoglavseki spec. nov., A. (A.) tisnicensis spec. nov. in opis samca vrste Pretneria sauli G. Müller (Coleoptera Silphidae). Ljubljana, Razprave razreda prirodoslovne in medicinske vede SAZU, 4: 143–158. Foto: S. Polak |
![]() |
Jamski hrošč (Cansiliella servadeii) Paoletti, 1972 inv. št.: NMPo / Bi:C-6991 dolžina telesa: 2,5 mm ITA: Suho prepariran osebek (♂) iz jame Grotta della Foos, Campone, Karnijske Alpe, Pordenone; 26. 5. 2019. Polak S. leg. / Polak S. det. Higropetrični hrošči se lahko potopijo v curke in celo slapove vode, in z izrazito povečanimi cedilnimi dlakami ob ustih v prenikli vodi lovijo organske delce, s katerimi se prehranjujejo. Da jih vodni tok ne odnese, imajo ti hroščki močne kremplje na nogicah. Dolgo je veljalo, da so se jamski hrošči podzemljarj, ki so specializirani na tak način prehranjevanja, razvili le v območju Dinarskega krasa. Najdba in opis higropetričnega rodu Cansiliella tudi v Karnijskih Alpah v Italiji, je bila zato veliko presenečanje. Podobne vrste bi lahko živele tudi v slovenskih Alpah a jih zanekrat še nismo našli.
Literatura: Paoletti M.G. 2017: Cave hygropetric beetles and their feeding behavior, a comparative study of Cansiliella servadeii and Hadesia asamo (Coleoptera, Leiodidae, Cholevinae, Leptodirini). Acta carsologica, 46, 2-3: 317–328. Foto: S. Polak |